El huracán Melissa se ha convertido en un huracán de categoría 5, la máxima en la escala Saffir-Simpson, y se dirige con fuerza hacia Jamaica y otras zonas del Caribe, según reportes meteorológicos recientes, según el Centro Nacional de Huracanes (NHC).
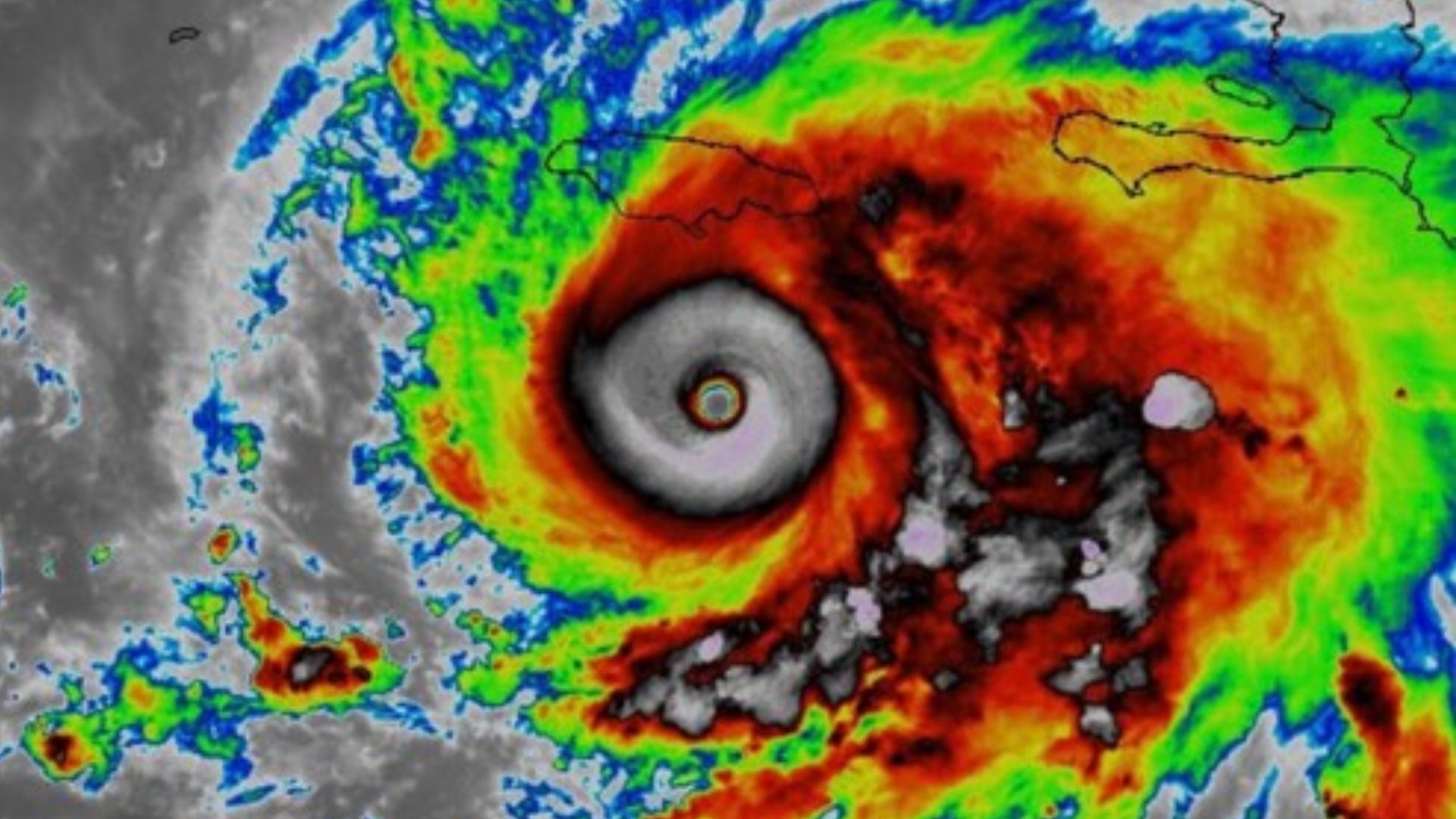
Imágenes satelitales muestran un sistema enorme, con un ojo perfectamente definido y bandas nubosas que se extienden a gran distancia del centro del fenómeno, reflejando su poder destructivo mientras avanza lentamente sobre aguas cálidas.
Imágenes oficiales del huracán Melissa
Los expertos señalan que la ferocidad de Melissa está siendo alimentada por el calentamiento del Atlántico, que proporciona energía adicional al huracán y contribuye a que mantenga su intensidad extrema.
El director del NHC, Michael Brennan, dijo en redes sociales que el huracán es sumamente peligroso: "Es enorme, es el fenómenos más potente del 2025".
Autoridades han advertido que Jamaica podría recibir impactos directos del ciclón, considerado ya una amenaza “catastrófica” para la región. Se esperan lluvias torrenciales, marejada ciclónica y vientos devastadores en su paso por el Caribe.
El huracán también representa un riesgo para otras islas del área, que se mantienen bajo vigilancia meteorológica ante la posibilidad de un cambio de trayectoria o expansión del campo de vientos.
Los sistemas como Melissa —que alcanzan la fuerza máxima justo antes de impactar tierra— son considerados eventos poco comunes, por lo que los organismos de socorro insisten en la urgencia de tomar medidas de prevención y resguardo.
Aunque no existe un peligro directo para Honduras en este momento, los efectos indirectos como humedad, oleaje y lluvias podrían sentirse en partes del norte de Centroamérica conforme avance el ciclón por el Caribe, de acuerdo a datos del Centro de Estudios Atmosféricos Oceanográficos y Sísmicos (Cenaos).
LE PUEDE INTERESAR: ¿Por qué capturaron en Honduras a exlíder de los Valle Valle tras condena en EE. UU.?

