Se encontraron 339 resultados por huracan
INTERNACIONALES
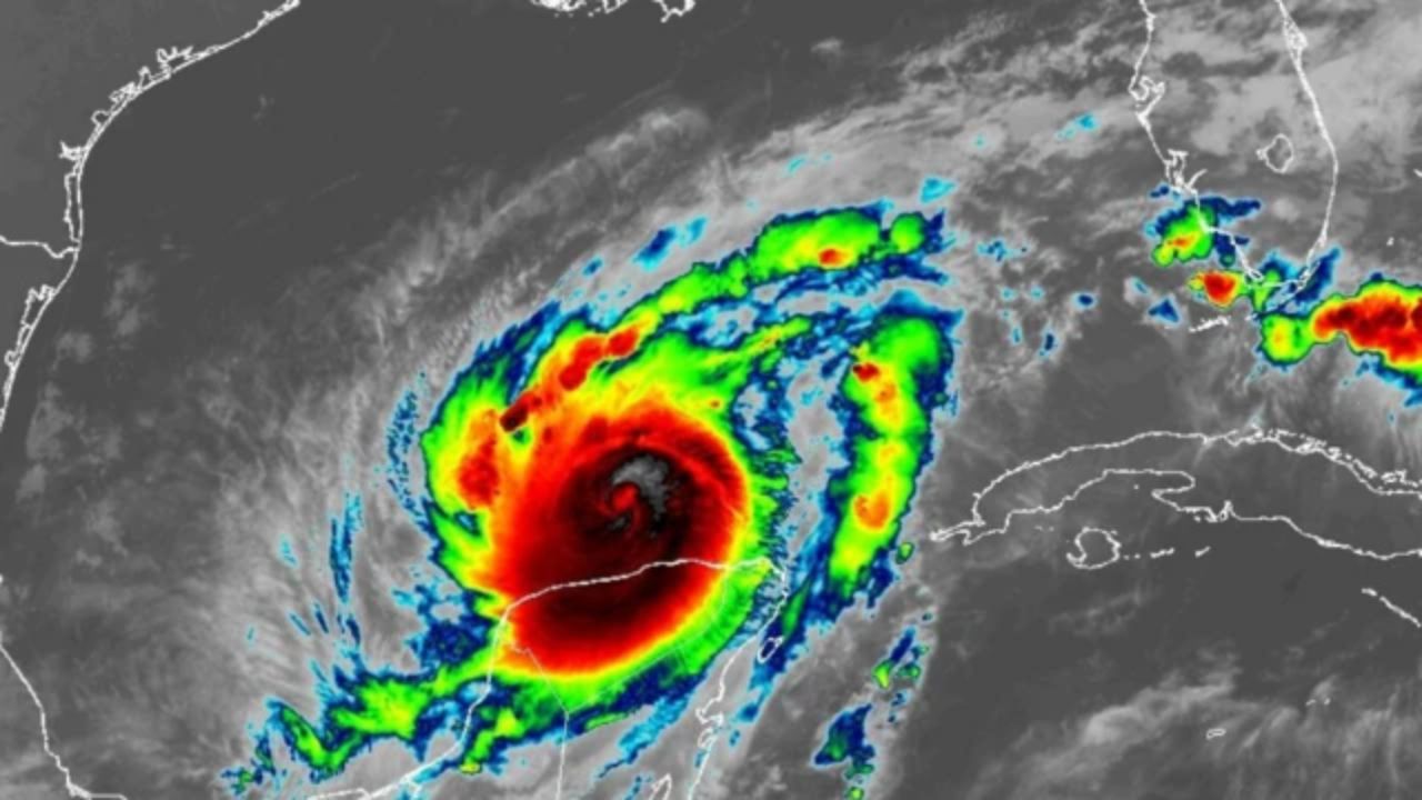
10:02 AM 23 sep. 2025
El fenómeno presenta vientos máximos sostenidos de 140 millas por hora o 220 kilómetros por hora
10:18 AM 17 sep. 2025
Por ahora, la tormenta Gabrielle presenta vientos máximos sostenidos de 45 millas por hora o 75 kilómetros por hora.
NACIONALES
3:09 PM 08 sep. 2025
Entérese aquí de qué zonas recibirán algunas lluvias durante este lunes, así como del fenómeno que monitorea el NHC en el océano Pacífico.
3:47 PM 01 sep. 2025
¿El clima en Honduras seguirá marcado por altas temperaturas o habrá un respiro con lluvias en algunas regiones del país en los próximos días?
2:53 PM 29 ago. 2025
¿La vaguada provocará nuevas lluvias en Honduras? Cenaos mantiene el pronóstico y llama a la población a estar alerta ante cualquier eventualidad.
9:54 PM 16 ago. 2025
Será hasta el lunes que Erin comience un "debilitamiento lento"; así será su trayectoria.
7:42 AM 16 ago. 2025
¡No olvide su paraguas! Lluvias leves se presentarán en Honduras, según Cenaos.
12:07 PM 15 ago. 2025
Conozca hacia dónde se dirige el huracán Erín y su posible trayectoria. NCH mantiene en vigilancia el fenómeno.
5:22 PM 13 ago. 2025
¿Honduras está preparado para enfrentar afectaciones por ciclones entre huracanes y tormentas en los próximos meses? Aquí lo que prevé Copeco.
3:09 PM 07 ago. 2025
Solo en dos regiones de Honduras se prevén lluvias débiles, mientras que el resto del país experimenta un clima cálido, según Cenaos.
3:02 PM 05 ago. 2025
Una vaguada dejará lluvias en Honduras mientras el NHC monitorea posibles ciclones en dos océanos. Conozca qué zonas podrían verse más afectadas.
7:10 PM 04 ago. 2025
Aunque el inicio la temporada de huracanes ha sido lento, se anticipan semanas más activas con condiciones favorables para el desarrollo de ciclones.
7:02 PM 02 ago. 2025
El SMN precisó que Gil no representa peligro para México, ¿cómo ha sido su trayectoria? Aquí los detalles.
9:03 PM 28 jun. 2025
La depresión tropical 2 se forma en el Atlántico, pero ¿está Honduras en peligro o puede mantenerse tranquila ante este fenómeno climático?
3:07 PM 24 jun. 2025
Una onda tropical provocará lluvias en gran parte del país. ¿Qué revela el pronóstico sobre las zonas más vulnerables ante este fenómeno?
3:07 PM 22 jun. 2025
¿Una onda tropical podría anticipar huracanes? Copeco y el NHC alertan sobre lluvias y sistemas en desarrollo que podrían impactar a Honduras.
6:55 AM 19 jun. 2025
Erick es el primer huracán con nombre de la temporada 2025 en el Pacífico mexicano, donde se podrían registrar hasta 37 ciclones, según proyecciones oficiales.
3:45 PM 08 jun. 2025
Tormentas tropicales Bárbara y Cosme avanzan en el Pacífico. ¿Podrían convertirse en huracán? Conozca aquí más detalles sobre los fenómenos.
4:59 PM 05 jun. 2025
Cada año circulan pronósticos aterradores sobre huracanes que nunca llegan. Te explicamos por qué aparecen estos “fantasmas” y qué tan reales son.
7:19 PM 24 may. 2025
El potencial ciclón pasó de un 40 % de probabilidad a un 80 % en los últimos tres días.
5:07 PM 15 may. 2025
La temporada de huracanes 2025 ya inició, ¿cuáles podrían ser las condiciones climáticas en Honduras durante los próximos días?
9:12 PM 13 may. 2025
La temporada de huracanes comienza el 15 de mayo en el Pacífico y el 1 de junio en el Atlántico; se extiende hasta el 30 de noviembre en ambas cuencas.
9:34 AM 27 abr. 2025
Arrancará la temporada de huracanes en el Pacífico y el Atlántico. Anuncian pronósticos y alertas sobre el impacto climático en Honduras para este año.
5:49 PM 30 nov. 2024
La temporada de huracanes en el Atlántico finalizó este sábado. Las estimaciones de pérdidas son preliminares. Aquí los detalles.
NEGOCIOS Y FINANZAS
12:29 PM 19 nov. 2024
Con la victoria de Donald Trump en las elecciones del 5 de noviembre, la atención vuelve a centrarse en Melania.